List of Pre-Parameterized Components
Many blocks in Simscape™ Electrical™ can be pre-parameterized to represent components by specific suppliers. These parameters match the manufacturer data sheets. You can pre-parameterize your block by using the Block Parameterization Manager.
Note
The predefined parameterizations of Simscape components use available data sources for the parameter values. Engineering judgment and simplifying assumptions are used to fill in for missing data. As a result, expect deviations between simulated and actual physical behavior. To ensure accuracy, validate the simulated behavior against experimental data and refine component models as necessary.
Load Predefined Parameterizations
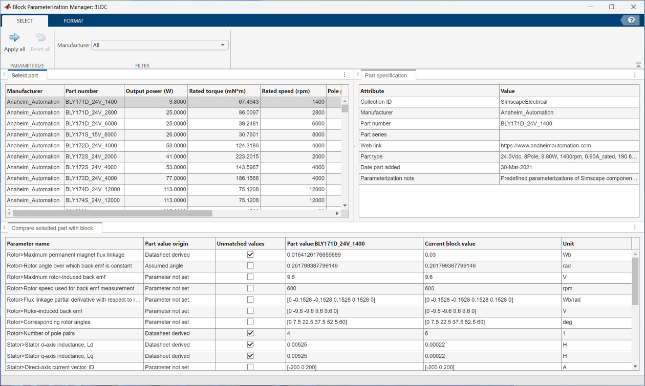
To load a predefined parameterization, double-click a block, then click the <click to select> hyperlink of the Selected part parameter. The Block Parameterization Manager window opens.

In the Filter settings of the Select tab, specify the supplier from the Manufacturer list. Then, in the Select part section, click the part from the list of available components.
When you click a specific part, the Part specification section contains the information about that specific component, and the Compare selected part with block section lists the parameter names of the block and compares their actual values with the datasheet values of the chosen pre-parameterized component.
You can also check what fields you can edit. In the Format tab, in the Compare selected part with block section, click Highlight Editable fields. If you click the Highlight Differences button, the app highlights the values of the parameters that differ from the those in the chosen pre-parameterized component.
To apply the changes and load the parameterization in this block, click Apply all.

The block in your model now shows the pre-parameterized component.
List of Pre-Parameterized Components
This list shows the available pre-parameterization options for Simscape Electrical blocks.
| Block | Manufacturer | Component |
|---|---|---|
| BLDC | Anaheim_Automation | BLY171D_24V_1400 |
| BLY171D_24V_2800 | ||
| BLY171D_24V_6000 | ||
| BLY171S_15V_8000 | ||
| BLY172D_24V_4000 | ||
| BLY172S_24V_2000 | ||
| BLY172S_24V_4000 | ||
| BLY173D_24V_4000 | ||
| BLY174D_24V_12000 | ||
| BLY174S_24V_12000 | ||
| Crouzet | 80120301 | |
| 80140504 | ||
| 80140511 | ||
| 80140512 | ||
| 80180504 | ||
| 80180506 | ||
| Faulhaber | 0515G006B | |
| 1028S006B | ||
| 1028S012B | ||
| 1218S006B | ||
| 1218S012B | ||
| 1226S006B | ||
| 1226S024B | ||
| 1628T012B | ||
| 1628T024B | ||
| 2036U012B | ||
| 2036U024B | ||
| 2036U036B | ||
| 2036U048B | ||
| 2057S012B | ||
| 2057S024B | ||
| 2232S012BX4 | ||
| 2232S024BX4 | ||
| 2250S012BX4 | ||
| 2250S012BX4S | ||
| 2250S018BX4 | ||
| 2250S018BX4S | ||
| 2250S024BX4 | ||
| 2250S024BX4S | ||
| 2444S024B | ||
| 2444S048B | ||
| 3056K012B | ||
| 3056K024B | ||
| 3056K036B | ||
| 3056K048B | ||
| 3216W012BXTH | ||
| 3216W012BXTR | ||
| 3216W024BXTH | ||
| 3216W024BXTR | ||
| 3242G012BX4 | ||
| 3242G018BX4 | ||
| 3242G024BX4 | ||
| 3242G036BX4 | ||
| 3242G042BX4 | ||
| 3242G048BX4 | ||
| 3268G018BX4 | ||
| 3268G024BX4 | ||
| 3268G030BX4 | ||
| 3268G036BX4 | ||
| 3268G042BX4 | ||
| 3268G048BX4 | ||
| 3564K012B | ||
| 3564K024B | ||
| 3564K036B | ||
| 3564K048B | ||
| 4221G018BXTH | ||
| 4221G018BXTR | ||
| 4221G024BXTH | ||
| 4221G024BXTR | ||
| 4221G048BXTH | ||
| 4221G048BXTR | ||
| Fulling_Motor | FL28BL38 | |
| FL42BLS01_IE | ||
| FL86BLS98 | ||
| Maxon | ECXSPEED_13L_18 | |
| ECXSPEED_13L_24 | ||
| ECXSPEED_13L_36 | ||
| ECXSPEED_13L_48 | ||
| ECXSPEED_13M_18 | ||
| ECXSPEED_13M_24 | ||
| ECXSPEED_13M_36 | ||
| ECXSPEED_13M_48 | ||
| ECXSPEED_16L_18 | ||
| ECXSPEED_16L_24 | ||
| ECXSPEED_16L_36 | ||
| ECXSPEED_16L_48 | ||
| ECXSPEED_16M_18 | ||
| ECXSPEED_16M_24 | ||
| ECXSPEED_16M_36 | ||
| ECXSPEED_16M_48 | ||
| ECXSPEED_19L_18 | ||
| ECXSPEED_19L_24 | ||
| ECXSPEED_19L_36 | ||
| ECXSPEED_19L_48 | ||
| ECXSPEED_19M_24 | ||
| ECXSPEED_19M_36 | ||
| ECXSPEED_19M_48 | ||
| ECXSPEED_22L_24 | ||
| ECXSPEED_22L_36 | ||
| ECXSPEED_22L_48 | ||
| ECXSPEED_22M_18 | ||
| ECXSPEED_22M_24 | ||
| ECXSPEED_22M_36 | ||
| ECXSPEED_22M_48 | ||
| ECXSPEED_4L_3 | ||
| ECXSPEED_6M_6 | ||
| ECXSPEED_8M_12 | ||
| ECXSPEED_8M_24 | ||
| ECXSQUARE_16L_12 | ||
| ECXSQUARE_16L_18 | ||
| ECXSQUARE_16L_6 | ||
| ECXSQUARE_16L_9 | ||
| ECXTORQUE_22L_12 | ||
| ECXTORQUE_22L_24 | ||
| ECXTORQUE_22L_48 | ||
| ECXTORQUE_22XL_24 | ||
| ECXTORQUE_22XL_48 | ||
| Nanotec | DB22M01 | |
| DB28L01 | ||
| DB28M01 | ||
| DB33S01 | ||
| DB41C024030_A | ||
| DB41L024030_A | ||
| DB41M024030_A | ||
| DB41S024030_A | ||
| DB43C048030_A | ||
| DB43L024030_A | ||
| DB43L048030_A | ||
| DB43M024030_A | ||
| DB43M048030_A | ||
| DB56C036030_A | ||
| DB56D036030_A | ||
| DB59C048035_A | ||
| DB59L024035R_A | ||
| DB59L024035_A | ||
| DB59L048035_A | ||
| DB80S048030_A | ||
| DBL36L024045_A | ||
| DBL36M024048_A | ||
| DBL42L024032_A | ||
| DF32M024027_A | ||
| DF45L024048_A | ||
| DF45M024053_A | ||
| DF45S024050_A | ||
| DFA68M024035_ENEW | ||
| DFA68M024037_A | ||
| DFA90L048017_A | ||
| DFA90L048017_ENEW | ||
| DS28L024080_A | ||
| DS28M024080_A | ||
| Transmotec | B4240_24 | |
| B4260_24 | ||
| B4280_24 | ||
| B86112_48 | ||
| B8672_12 | ||
| B8672_48 | ||
| B8686_12 | ||
| B8686_48 | ||
| BR2268_12 | ||
| BR2877_24 | ||
| BR3337_12 | ||
| BR3337_24 | ||
| BR5743_12 | ||
| BR5753_24 | ||
| BR5773_24 | ||
| BR5793_12 | ||
| Battery (Table-Based) | A123 | ALM12V7 |
| AMP20M1HD | ||
| ANR26650M1 | ||
| Korea Powercell | PD3032 | |
| Molicel | INR_21700_P45B | |
| Panasonic | NCA103450 | |
| NCA463436A | ||
| NCA593446 | ||
| NCA623535 | ||
| NCA673440 | ||
| NCA793540 | ||
| NCA843436 | ||
| NCR18500A | ||
| NCR18650BD | ||
| NCR18650BF | ||
| NCR18650PF | ||
| UF103450P | ||
| UF463450F | ||
| UF553443ZU | ||
| UF653450S | ||
| UR18650A | ||
| UR18650ZTA | ||
| Sanyo | UR18650F | |
| Tenergy | T18650 | |
| Valence | U1_12XP | |
| U24_24XP | ||
| U27_12XP | ||
| U27_24XP | ||
| U27_36XP | ||
| UEV_18XP | ||
| Battery Equivalent Circuit | A123 | ALM12V7 |
| AMP20M1HD | ||
| ANR26650M1 | ||
| CSB Battery | EVX12300 | |
| EVX12340 | ||
| EVX12520 | ||
| GP12340 | ||
| GP1245 | ||
| GPL12260 | ||
| GPL12520 | ||
| GPL1272 | ||
| Exide | EP10012 | |
| EP1212 | ||
| EP16012 | ||
| EP1712 | ||
| EP3212 | ||
| EP6512 | ||
| EP912 | ||
| Korea Powercell | PD3032 | |
| Molicel | INR_21700_P45B | |
| Panasonic | BK_10V1S | |
| BK_110AAO | ||
| BK_130AA | ||
| BK_200A | ||
| BK_200AAB | ||
| BK_210A | ||
| BK_250A | ||
| BK_260SCP | ||
| BK_300SCP | ||
| BK_310CH | ||
| BK_380A | ||
| BK_450A | ||
| BK_60AAAH | ||
| BK_65AAAK | ||
| BK_70AAAJ | ||
| BK_70AAH | ||
| BK_80AAAB | ||
| NCA103450 | ||
| NCA463436A | ||
| NCA593446 | ||
| NCA623535 | ||
| NCA673440 | ||
| NCA793540 | ||
| NCA843436 | ||
| NCR18500A | ||
| NCR18650BD | ||
| NCR18650BF | ||
| NCR18650PF | ||
| UF103450P | ||
| UF463450F | ||
| UF553443ZU | ||
| UF653450S | ||
| UR18650A | ||
| UR18650ZTA | ||
| Sanyo | UR18650F | |
| Tenergy | T18650 | |
| Valence | U1_12XP | |
| U24_24XP | ||
| U27_12XP | ||
| U27_24XP | ||
| U27_36XP | ||
| UEV_18XP | ||
| DC Motor | AMETEK | DC040A_2 |
| GM8224S028 | ||
| GM9234S023_R1 | ||
| GM9236S020_R1 | ||
| GM9236S024 | ||
| 9237S011_R1_SP | ||
| Crouzet | 89_800_003 | |
| 89_800_008 | ||
| 89_810_003 | ||
| 89_810_007 | ||
| 89_810_008 | ||
| 89_830_003 | ||
| 89_830_004 | ||
| 89_830_011 | ||
| 89_830_012 | ||
| 89_850_003 | ||
| 89_850_007 | ||
| 89_850_008 | ||
| 89_890_003 | ||
| 89_890_004 | ||
| 89_890_005 | ||
| 89_890_011 | ||
| Faulhaber | 0816K_003_SR | |
| 0816K_006_SR | ||
| 0816K_009_SR | ||
| 0816K_012_SR | ||
| 1016K_003_SR | ||
| 1016K_006_SR | ||
| 1016K_009_SR | ||
| 1016K_012_SR | ||
| 1024K_003_SR | ||
| 1024K_006_SR | ||
| 1024K_009_SR | ||
| 1024K_012_SR | ||
| 1219N_006_G | ||
| 1219N_012_G | ||
| 1219N_015_G | ||
| 1219N_4p5_G | ||
| 1224N_006_SR | ||
| 1224N_012_SR | ||
| 1224N_015_SR | ||
| 1331T_006_SR | ||
| 1331T_012_SR | ||
| 1331T_024_SR | ||
| 1506N_003_SR | ||
| 1506N_006_SR | ||
| 1516T_1p5_S | ||
| 1524T_003_SR | ||
| 1524T_006_SR | ||
| 1524T_009_SR | ||
| 1524T_012_SR | ||
| 1524T_018_SR | ||
| 1524T_024_SR | ||
| 1624T_003_S | ||
| 1624T_006_S | ||
| 1624T_012_S | ||
| 1624T_018_S | ||
| 1624T_024_S | ||
| 1717T_003_SR | ||
| 1717T_006_SR | ||
| 1717T_012_SR | ||
| 1717T_018_SR | ||
| 1717T_024_SR | ||
| 2224U_003_SR | ||
| 2224U_006_SR | ||
| 2224U_012_SR | ||
| 2224U_018_SR | ||
| 2224U_024_SR | ||
| 2224U_036_SR | ||
| 2230T_003_S | ||
| 2230T_006_S | ||
| 2230T_012_S | ||
| 2230T_015_S | ||
| 2230T_024_S | ||
| 2230T_040_S | ||
| 2232U_006_SR | ||
| 2232U_009_SR | ||
| 2232U_012_SR | ||
| 2232U_015_SR | ||
| 2232U_018_SR | ||
| 2232U_024_SR | ||
| 2233T_006_S | ||
| 2233T_012_S | ||
| 2233T_018_S | ||
| 2233T_024_S | ||
| 2233T_030_S | ||
| 2233T_4p5_S | ||
| 2237S_006_CXR | ||
| 2237S_012_CXR | ||
| 2237S_018_CXR | ||
| 2237S_024_CXR | ||
| 2237S_036_CXR | ||
| 2237S_048_CXR | ||
| 2342S_006_CR | ||
| 2342S_012_CR | ||
| 2342S_018_CR | ||
| 2342S_024_CR | ||
| 2342S_036_CR | ||
| 2342S_048_CR | ||
| 2607T_006_SR | ||
| 2607T_006_SR_IE2_16 | ||
| 2607T_012_SR | ||
| 2607T_012_SR_IE2_16 | ||
| 2607T_024_SR | ||
| 2607T_024_SR_IE2_16 | ||
| 2642W_012_CR | ||
| 2642W_012_CXR | ||
| 2642W_015_CXR | ||
| 2642W_018_CR | ||
| 2642W_018_CXR | ||
| 2642W_024_CR | ||
| 2642W_024_CXR | ||
| 2642W_036_CR | ||
| 2642W_036_CXR | ||
| 2642W_048_CR | ||
| 2642W_048_CXR | ||
| 2657W_012_CR | ||
| 2657W_012_CXR | ||
| 2657W_018_CR | ||
| 2657W_018_CXR | ||
| 2657W_024_CR | ||
| 2657W_024_CXR | ||
| 2657W_030_CXR | ||
| 2657W_036_CR | ||
| 2657W_036_CXR | ||
| 2657W_048_CR | ||
| 2657W_048_CXR | ||
| 2668W_018_CR | ||
| 2668W_024_CR | ||
| 2668W_036_CR | ||
| 2668W_048_CR | ||
| 3242G_012_CR | ||
| 3242G_018_CR | ||
| 3242G_024_CR | ||
| 3242G_036_CR | ||
| 3242G_048_CR | ||
| 3257G_012_CR | ||
| 3257G_018_CR | ||
| 3257G_024_CR | ||
| 3257G_036_CR | ||
| 3257G_048_CR | ||
| 3272G_012_CR | ||
| 3272G_018_CR | ||
| 3272G_024_CR | ||
| 3272G_036_CR | ||
| 3272G_048_CR | ||
| 3863H_012_CR | ||
| 3863H_018_CR | ||
| 3863H_024_CR | ||
| 3863H_036_CR | ||
| 3863H_048_CR | ||
| 3890H_018_CR | ||
| 3890H_024_CR | ||
| 3890H_036_CR | ||
| 3890H_048_CR | ||
| Maxon | Amax_16_134844 | |
| Amax_16_139820 | ||
| Amax_16_139823 | ||
| Amax_16_220514 | ||
| Amax_16_231379 | ||
| Amax_16_260678 | ||
| Amax_16_304672 | ||
| Amax_16_352815 | ||
| Amax_16_352816 | ||
| Amax_16_352817 | ||
| Amax_16_352823 | ||
| Amax_16_352825 | ||
| Amax_16_352826 | ||
| Amax_16_352827 | ||
| Amax_16_352828 | ||
| Amax_16_352829 | ||
| Amax_16_352830 | ||
| Amax_16_352831 | ||
| Amax_16_352832 | ||
| Amax_16_352833 | ||
| Amax_19_139828 | ||
| Amax_19_202411 | ||
| Amax_19_202412 | ||
| Amax_19_233453 | ||
| Amax_19_235373 | ||
| Amax_19_238388 | ||
| Amax_19_267427 | ||
| Amax_19_352922 | ||
| Amax_19_352923 | ||
| Amax_22_134267 | ||
| Amax_22_134666 | ||
| Amax_22_137255 | ||
| Amax_22_137476 | ||
| Amax_22_139838 | ||
| Amax_22_202413 | ||
| Amax_22_218799 | ||
| Amax_22_238798 | ||
| Amax_22_258367 | ||
| Amax_22_267423 | ||
| Amax_22_310003 | ||
| Amax_22_342390 | ||
| Amax_26_110181 | ||
| Amax_26_110182 | ||
| Amax_26_110183 | ||
| Amax_26_110184 | ||
| Amax_26_110185 | ||
| Amax_26_110186 | ||
| Amax_26_110187 | ||
| Amax_26_110188 | ||
| Amax_26_110189 | ||
| Amax_26_110190 | ||
| Amax_26_110191 | ||
| DCX_6M_1p5 | ||
| DCX_6M_3 | ||
| DCX_6M_4p5 | ||
| DCX_6M_6 | ||
| DCX_8M_12 | ||
| DCX_8M_1p4 | ||
| DCX_8M_4p2 | ||
| DCX_8M_6 | ||
| DCX_8M_7p2 | ||
| DCX_8M_9 | ||
| DC_max_16_S_12 | ||
| DC_max_16_S_24 | ||
| DC_max_16_S_6 | ||
| DC_max_22_S_12 | ||
| DC_max_22_S_24 | ||
| DC_max_22_S_6 | ||
| DC_max_26_S_12 | ||
| DC_max_26_S_24 | ||
| RE_65_388984_18 | ||
| RE_65_388985_24 | ||
| RE_65_388986_36 | ||
| RE_65_388987_48 | ||
| RE_65_388988_60 | ||
| RE_65_388989_70 | ||
| RE_65_388990_70 | ||
| RE_65_388991_70 | ||
| Portescap | 08GS61_105C_3 | |
| 08GS61_105_3 | ||
| 08GS61_107_3 | ||
| 10NS61_107C_5 | ||
| 12G88_210E_1001 | ||
| 12G88_215E_1001 | ||
| 12GS88_208F_1007 | ||
| 12GS88_210E_1001 | ||
| 12GS88_210E_1007 | ||
| 12GS88_215E_1001 | ||
| 13N88_107E_1 | ||
| 13N88_110E_1 | ||
| 13N88_213E_1 | ||
| 16C18_115_67 | ||
| 16C18_204_67 | ||
| 16C18_205_67 | ||
| 16C18_207_67 | ||
| 16C18_210_67 | ||
| 16G88_205E_1 | ||
| 16G88_210E_1 | ||
| 16G88_211E_1 | ||
| 16G88_213E_1 | ||
| 16G88_214E_1 | ||
| 16G88_220P_1 | ||
| 16N78_135_1001 | ||
| 16N78_208E_1001 | ||
| 16N78_210E_1001 | ||
| 16N78_212E_1001 | ||
| 16N78_212P_1001 | ||
| 16N78_214E_1001 | ||
| 16S78_208P_1 | ||
| 16S78_210E_1 | ||
| 17N78_207E_1 | ||
| 17N78_208E_1 | ||
| 17N78_210E_1 | ||
| 17N78_216E_1 | ||
| 17S78_208P_1 | ||
| 17S78_209E_1 | ||
| 17S78_210E_1 | ||
| 22N78_208E_1001 | ||
| 22N78_215E_1001 | ||
| 22N78_216E_1001 | ||
| 22N78_311P_1001 | ||
| 22N78_313P_1001 | ||
| 22N78_319P_1001 | ||
| 28DT12_219E_1 | ||
| 28DT12_219P_1 | ||
| 28DT12_222E_1 | ||
| 28DT12_222P_1 | ||
| 28L28_219_29 | ||
| 28L28_410E_29 | ||
| 28L28_413E_29 | ||
| 28L28_416E_29 | ||
| 28LT12_219_49 | ||
| 28LT12_416E_49 | ||
| 30GT2R82_234E_4 | ||
| 30GT2R82_234P_4 | ||
| 35GLT2R82_234E_1 | ||
| 35GLT2R82_326P_1 | ||
| 35GLT2R82_426E_1 | ||
| 35GLT2R82_426P_1 | ||
| 35GLT2R82_426SP_1 | ||
| 35NT2R32_228E_1 | ||
| 35NT2R32_228P_1 | ||
| 35NT2R32_416SP_1 | ||
| 5NT2R82_226E_1 | ||
| 5NT2R82_426E_1 | ||
| 5NT2R82_426P_1 | ||
| 5NT2R82_426SP_1 | ||
| RS | M9232_12 | |
| M9232_24 | ||
| M9232_48 | ||
| M9234_12 | ||
| M9234_24 | ||
| M9234_48 | ||
| M9236_12 | ||
| M9236_24 | ||
| M9236_48 | ||
| M9237_12 | ||
| M9237_24 | ||
| M9237_48 | ||
| ebmpaps | BCI_42_25_A00 | |
| BCI_42_25_B00 | ||
| BCI_42_40_A00 | ||
| BCI_42_40_B00 | ||
| BCI_52_30_A00 | ||
| BCI_52_30_B00 | ||
| BCI_52_60_A00 | ||
| BCI_52_60_B00 | ||
| BCI_63_25_A00 | ||
| BCI_63_25_B00 | ||
| BCI_63_55_A00 | ||
| BCI_63_55_B00 | ||
| Diode | Diodes Incorporated | BAS21WQ |
| BAS4004Q13F | ||
| BAS521Q | ||
| BAS7004Q13F | ||
| BAT46WQ | ||
| BAT54AQ | ||
| BAV23AQ | ||
| BAW101Q | ||
| DHVSD3004ASQ | ||
| MMBD2004SQ | ||
| SBR0240LPWQ | ||
| ZHCS350Q | ||
| ZHCS400Q | ||
| Infineon | AIDK10S65C5 | |
| AIDK12S65C5 | ||
| BAS3007A | ||
| BAS4002A | ||
| BAT64E6327HTSA1 | ||
| IDD04SG60C | ||
| IDK02G120C5 | ||
| IDK02G65C5 | ||
| IDP08E65D1 | ||
| IDP20E65D2 | ||
| IDP30E65D2 | ||
| IDV20E65D1 | ||
| IDW30E65D1 | ||
| IDW40G120C5B | ||
| IDW50E60 | ||
| IDW80C65D1 | ||
| IDWD100E120D7 | ||
| IDWD120E120D7 | ||
| IDWD30E120D7 | ||
| IDWD50E120D7 | ||
| STMicroelectronics | 1N5711 | |
| STBR3012 | ||
| STPS10120C | ||
| STPS10200SF | ||
| STPSC10065 | ||
| STPSC10H065 | ||
| STPSC10H065BY | ||
| STPSC10H12 | ||
| STPSC12H065 | ||
| STPSC15H12 | ||
| STPSC20G12 | ||
| STPSC8065 | ||
| STPSC8H065 | ||
| STPST5H100 | ||
| STPST8H100 | ||
| STTH112 | ||
| STTH208 | ||
| Half-Bridge (Ideal, Switching) | SEMIKRON | SK150MB120CR03TE2 |
| SK200MB120CR03TE2 | ||
| SK40MB120CR03TE1 | ||
| SK80MB120CR03TE1 | ||
| Solitron | SD11907 | |
| SD11912 | ||
| SD11918 | ||
| SD11919 | ||
| SD11957 | ||
| Wolfspeed | CAB006A12GM3 | |
| CAB006M12GM3 | ||
| CAB008M12GM3 | ||
| CAB011M12FM3 | ||
| CAB016M12FM3 | ||
| CAB400M12XM3 | ||
| CAB450M12XM3 | ||
| CAB530M12BM3 | ||
| CAB650M17HM3 | ||
| CAB760M12HM3 | ||
| CAS300M17BM2 | ||
| EAB450M12XM3 | ||
| IGBT (Ideal, Switching) | Infineon | AIKB15N65DF5 |
| AIKB15N65DH5 | ||
| AIKB20N60CT | ||
| AIKB30N65DF5 | ||
| AIKB30N65DH5 | ||
| AIKB40N65DF5 | ||
| AIKB40N65DH5 | ||
| AIKB50N65DF5 | ||
| AIKB50N65DH5 | ||
| AIKP20N60CT | ||
| AIKQ100N60CT | ||
| AIKQ120N60CT | ||
| AIKQ120N75CP2 | ||
| AIKQ200N75CP2 | ||
| AIKW20N60CT | ||
| AIKW30N60CT | ||
| AIKW40N65DF5 | ||
| AIKW40N65DH5 | ||
| AIKW50N60CT | ||
| AIKW50N65DF5 | ||
| AIKW50N65DH5 | ||
| AIKW50N65RF5 | ||
| AIKW75N60CT | ||
| BSM200GA120DN2 | ||
| BSM300GA120DN2S | ||
| BSM400GA120DN2 | ||
| FZ300R12KE3G | ||
| FZ400R12KE4 | ||
| FZ600R12KE3 | ||
| FZ600R12KE4 | ||
| FZ600R17KE4 | ||
| FZ750R65KE3 | ||
| FZ800R12KE3 | ||
| FZ900R12KE4 | ||
| IKW50N65RH5 | ||
| IKW50N65SS5 | ||
| IKW75N65RH5 | ||
| IKW75N65SS5 | ||
| IKZA40N65RH5 | ||
| IKZA50N65RH5 | ||
| IKZA50N65SS5 | ||
| IKZA75N65RH5 | ||
| Microchip Technology | APT100GT120JRDQ4 | |
| APT100GT60JRDQ4 | ||
| ROHM Semiconductor | RGC80TSX8R | |
| RGCL60TK60D | ||
| RGCL60TS60DGC13 | ||
| RGCL80TK60D | ||
| RGS30TSX2D | ||
| RGS30TSX2DHR | ||
| RGS50TSX2D | ||
| RGS50TSX2DHR | ||
| RGS80TSX2D | ||
| RGS80TSX2DHR | ||
| RGSX5TS65DHR | ||
| STMicroelectronics | STGWA60V60DWFAG | |
| stgb10h60df | ||
| stgb10m65df2 | ||
| stgb15h60df | ||
| stgb15m65df2 | ||
| stgb20h60df | ||
| stgb20h65dfb2 | ||
| stgb30h60dfb | ||
| stgb4m65df2 | ||
| stgb7h60df | ||
| stgd10hf60kd | ||
| stgd6m65df2 | ||
| stgwa50h65dfb2 | ||
| stgwa50m65df2 | ||
| stgwa60h65dfb | ||
| stgwa60v60df | ||
| stgwa75h65dfb2 | ||
| stgwa75m65df2 | ||
| stgwa80h65dfb | ||
| stgwt30h60dfb | ||
| stgwt40h65dfb | ||
| stgwt60h65dfb | ||
| Vishay | VS-GT100DA120UF | |
| VS-GT180DA120U | ||
| VS-GT80DA120U | ||
| MOSFET (Ideal, Switching) | IXYS | IXFN50N120SiC |
| IXFN70N120SK | ||
| Infineon | AIMW120R035M1H | |
| AIMW120R045M1 | ||
| AIMW120R060M1H | ||
| AIMW120R080M1 | ||
| IMBG120R030M1H | ||
| IMBG120R045M1H | ||
| IMBG120R060M1H | ||
| IMBG120R090M1H | ||
| IMBG120R140M1H | ||
| IMBG120R220M1H | ||
| IMW120R014M1H | ||
| IMW120R020M1H | ||
| IMW120R030M1H | ||
| IMW120R090M1H | ||
| IMW120R350M1H | ||
| IMZ120R030M1H | ||
| IMZ120R090M1H | ||
| IMZ120R140M1H | ||
| IMZ120R220M1H | ||
| IMZ120R350M1H | ||
| IMZA120R007M1H | ||
| IMZA120R020M1H | ||
| IMZA120R040M1H | ||
| ROHM Semiconductor | SCT4018KR-E | |
| SCT4036KE-E | ||
| SCT4036KR-E | ||
| SCT4062KE-E | ||
| SCT4062KR-E | ||
| STMicroelectronics | SCT10N120 | |
| SCT10N120H | ||
| SCT20N170 | ||
| SCT30N120 | ||
| SCT30N120H | ||
| SCT50N120 | ||
| SCTH35N65G2V-7 | ||
| SCTH50N120-7 | ||
| SCTW100N120G2AG | ||
| SCTW35N65G2V | ||
| SCTW70N120G2V | ||
| SCTWA30N120 | ||
| SCTWA35N65G2V | ||
| SCTWA35N65G2V4AG | ||
| SCTWA35N65G2VAG | ||
| SCTWA40N120G2AG | ||
| SCTWA40N120G2V | ||
| SCTWA40N120G2V-4 | ||
| SCTWA40N12G24AG | ||
| SCTWA50N120 | ||
| SCTWA50N120-4 | ||
| SCTWA60N120G2AG | ||
| SCTWA60N120G2-4 | ||
| SCTWA60N12G2-4AG | ||
| SCTWA70N120G2V-4 | ||
| SCTWA90N65G2V | ||
| SCTWA90N65G2V-4 | ||
| Wolfspeed | C2M0025120D | |
| C2M0040120D | ||
| C2M0045170D | ||
| C2M0045170P | ||
| C2M0080120D | ||
| C2M0080170P | ||
| C2M0160120D | ||
| C2M0280120D | ||
| C2M1000170D | ||
| C2M1000170J | ||
| C3M0010090K | ||
| C3M0015065D | ||
| C3M0015065K | ||
| C3M0016120D | ||
| C3M0016120K | ||
| C3M0016120K1 | ||
| C3M0021120D | ||
| C3M0021120J2 | ||
| C3M0021120K | ||
| C3M0021120K1 | ||
| C3M0025065D | ||
| C3M0025065J1 | ||
| C3M0025065K | ||
| C3M0025065L | ||
| C3M0025075K1 | ||
| C3M0030090K | ||
| C3M0032120D | ||
| C3M0032120J1 | ||
| C3M0032120J2 | ||
| C3M0032120K | ||
| C3M0032120K1 | ||
| C3M0040120D | ||
| C3M0040120J1 | ||
| C3M0040120K | ||
| C3M0040120K1 | ||
| C3M0045065D | ||
| C3M0045065J1 | ||
| C3M0045065K | ||
| C3M0045065L | ||
| C3M0045075K1 | ||
| C3M0060065D | ||
| C3M0060065J | ||
| C3M0060065K | ||
| C3M0060065L | ||
| C3M0060075K1 | ||
| C3M0065090D | ||
| C3M0065090J | ||
| C3M0065100J | ||
| C3M0065100K | ||
| C3M0075120J2 | ||
| C3M0075120K1 | ||
| C3M0120065D | ||
| C3M0120065J | ||
| C3M0120065K | ||
| C3M0120065L | ||
| C3M0120090D | ||
| C3M0120090J | ||
| C3M0120100J | ||
| C3M0120100K | ||
| C3M0160120D | ||
| C3M0160120K1 | ||
| C3M0280090D | ||
| C3M0280090J | ||
| C3M0350120D | ||
| C3M0350120J | ||
| E3M0016120K | ||
| E3M0021120K | ||
| E3M0032120K | ||
| E3M0040120K | ||
| E3M0060065D | ||
| E3M0060065K | ||
| E3M0065090D | ||
| E3M0075120D | ||
| E3M0075120K | ||
| E3M0120090D | ||
| E3M0120090J | ||
| E3M0160120D | ||
| E3M0160120K | ||
| E3M0280090D | ||
| E4M0013120K | ||
| E4M0015075J2 | ||
| E4M0015075K1 | ||
| E4M0025075J2 | ||
| E4M0025075K1 | ||
| E4M0045075J2 | ||
| E4M0045075K1 | ||
| E4M0060075J2 | ||
| E4M0060075K1 | ||
| PMSM | ABB_BALDOR | BSM132C-8200AA |
| BSM33C-5177MHQ | ||
| BSM5ON-133 | ||
| BSM5ON-275 | ||
| BSM63N-133 | ||
| HDS100-0206A | ||
| HDS130-0817B | ||
| HDS130-1829B | ||
| HDS180-2540B | ||
| HDS180-4876B | ||
| HDS65-0102A | ||
| Allied_Motion | HMP04-002 | |
| HMP06-007 | ||
| HMP06-015 | ||
| HMP08-028 | ||
| HMP10-056 | ||
| HMP13-055 | ||
| Anaheim_Automation | BLK321S | |
| BLY171D | ||
| BLY171S | ||
| BLY341D | ||
| B_R_Automation | 8KSC82 | |
| 8KSC84 | ||
| 8KSC85 | ||
| 8KSC86 | ||
| 8KSC96 | ||
| 8LSA23 | ||
| 8LSA35 | ||
| 8LSA43 | ||
| 8LSAA2 | ||
| 8LSAA3 | ||
| 8LSAA4 | ||
| 8MSA2S | ||
| 8MSA4L | ||
| 8MSA5S | ||
| Electrocraft | RPP23-154V325 | |
| RPP23-64V325 | ||
| RPP23-64V48 | ||
| RPX2204-V12 | ||
| RPX22-062V24 | ||
| Parker_Motors | BE161C | |
| BE161D | ||
| BE230D | ||
| BE232D | ||
| BE341F | ||
| BE342K | ||
| BE343J | ||
| MB562502 | ||
| SMB40 | ||
| SEM_Motors | HDM82A8-15S | |
| HDM82C8-22S | ||
| HDM82E8-30S | ||
| HDM82J8-40S | ||
| HJ116C6-64S | ||
| HJ96C6-44 | ||
| HJ96G6-44 | ||
| HR70A4-22S | ||
| Siemens | 1FK7032-2AK7 | |
| 1FK7034-2AK7 | ||
| 1FK7060-2AC7 | ||
| 1FK7080-2AF7 | ||
| 1FK7086-4SF7 | ||
| 1FK7105-2AF7 | ||
| 1FT7034-5AK7 | ||
| 1FT7042-5AF7 | ||
| 1FT7046-5AH7 | ||
| 1FT7062-5AK7 | ||
| 1FT7108-5AC7 | ||
| 1FT7134-5AB71 | ||
| 1FT7136-5AB71 | ||
| Swiss_Mekatronix | SMXN1-010 | |
| SMXN4-510 | ||
| SMXN7-3000 | ||
| SMXQ1-225 | ||
| SMXQ2-650 | ||
| SMXQ3-950 | ||
| SMXQ4 | ||
| SMXQ5-280 | ||
| SMXQ6-600 | ||
| Teknic_Motors | 2310P | |
| Solar-Cell | Amerisolar | AS_6M30_HC_320W |
| AS_6M_360W_PERC | ||
| AS_6P30_HC_280W | ||
| AS_6P_HC_340W | ||
| AS_6P_HC_360W | ||
| ThinFilm_AS_100W | ||
| ThinFilm_AS_85W | ||
| Astronergy | CHSM5001T_110W | |
| AzurSpace | 3C44_30sqmm | |
| 3C44_9sqmm | ||
| Calyxo | CX1_80_3 | |
| CX3_85_3 | ||
| CX4_100_3 | ||
| CX4_102_3 | ||
| CX4_105_3 | ||
| CX4_107_3 | ||
| CX4_110_3 | ||
| CX4_97_3 | ||
| CanadianSolar | CS1H330MS | |
| CS1H345MS | ||
| CS3K_315P_AG | ||
| CS3W_420P | ||
| CS3W_435MS | ||
| CS6K270P | ||
| CS6K280P | ||
| FirstSolar | FS_3100_PLUS | |
| FS_390_PLUS | ||
| FS_395_PLUS | ||
| FS_397_PLUS | ||
| FS_4100A | ||
| FS_4102A | ||
| FS_4105A | ||
| FS_4112_3 | ||
| FS_4120_3 | ||
| FS_4122_3 | ||
| FS_492A | ||
| FS_495A | ||
| FS_497A | ||
| FS_6420A | ||
| FS_6425A | ||
| FS_6430A | ||
| FS_6435A | ||
| FS_6440A | ||
| FS_6445A | ||
| FS_6450A | ||
| GCL | GCL_M3_72GD_420W_Front | |
| GCL_M3_72GD_420W_Rear | ||
| GCL_M3_72H_420W | ||
| GCL_M6_72H_415W | ||
| GCL_M8_72GDF_465W_Front | ||
| GCL_M8_72GDF_465W_Rear | ||
| GCL_MS_60H_335W | ||
| GCL_P6_60H_270W | ||
| GCL_P6_60H_305W | ||
| GCL_P6_72H_325W | ||
| GCL_P6_72H_360W | ||
| Hanwha_Q_CELLS | QPEAK_DUO_BLK_G5_310 | |
| QPEAK_DUO_BLK_G5_315 | ||
| QPEAK_DUO_BLK_G5_320 | ||
| QPEAK_DUO_BLK_G5_325 | ||
| QPEAK_DUO_BLK_G6_330 | ||
| QPEAK_DUO_BLK_G6_335 | ||
| QPEAK_DUO_BLK_G6_340 | ||
| QPEAK_DUO_BLK_G6_345 | ||
| QPEAK_DUO_BLK_G7_315 | ||
| QPEAK_DUO_BLK_G7_320 | ||
| QPEAK_DUO_BLK_G7_325 | ||
| QPEAK_DUO_BLK_G8_335 | ||
| QPEAK_DUO_BLK_G8_340 | ||
| QPEAK_DUO_BLK_G8_345 | ||
| QPEAK_DUO_BLK_G8_350 | ||
| QPEAK_DUO_G5_315 | ||
| QPEAK_DUO_G5_320 | ||
| QPEAK_DUO_G5_325 | ||
| QPEAK_DUO_G5_330 | ||
| QPEAK_DUO_G5_335 | ||
| QPEAK_DUO_G6_340 | ||
| QPEAK_DUO_G6_345 | ||
| QPEAK_DUO_G6_350 | ||
| QPEAK_DUO_G6_355 | ||
| QPEAK_DUO_G7_325 | ||
| QPEAK_DUO_G7_330 | ||
| QPEAK_DUO_G7_335 | ||
| QPEAK_DUO_G8_345 | ||
| QPEAK_DUO_G8_350 | ||
| QPEAK_DUO_G8_355 | ||
| QPEAK_DUO_G8_360 | ||
| QPEAK_DUO_L_G5_380 | ||
| QPEAK_DUO_L_G5_385 | ||
| QPEAK_DUO_L_G5_390 | ||
| QPEAK_DUO_L_G5_395 | ||
| QPEAK_DUO_L_G5_400 | ||
| QPEAK_DUO_L_G6_405 | ||
| QPEAK_DUO_L_G6_410 | ||
| QPEAK_DUO_L_G6_415 | ||
| QPEAK_DUO_L_G6_420 | ||
| QPEAK_DUO_L_G6_425 | ||
| QPEAK_DUO_L_G7_385 | ||
| QPEAK_DUO_L_G7_390 | ||
| QPEAK_DUO_L_G7_395 | ||
| QPEAK_DUO_L_G7_400 | ||
| QPEAK_DUO_L_G7_405 | ||
| QPEAK_DUO_L_G8_415 | ||
| QPEAK_DUO_L_G8_420 | ||
| QPEAK_DUO_L_G8_425 | ||
| QPEAK_DUO_L_G8_430 | ||
| Hyundai | HiE_S340SG | |
| HiE_S345SG | ||
| HiE_S350SG | ||
| HiE_S390VG | ||
| HiE_S395VG | ||
| HiE_S400VG | ||
| HiE_S405VG | ||
| JA_Solar | JAM60S10_330PR | |
| JAM60S20_380MR | ||
| JAM72S10_400PR | ||
| JAM72S20_455MR | ||
| JAP72S10_330_350SC | ||
| JinKOSolar | Cheetah_JKM325M_60HB | |
| Cheetah_JKM375M_66H | ||
| Cheetah_JKM390M_72H | ||
| Cheetah_JKM430M_78H | ||
| Swan_JKM390M_72H_TV | ||
| Swan_JKM395M_72H_BDVP | ||
| Tiger_JKM385M_6RL3 | ||
| Tiger_JKM395M_6RL3 | ||
| Tiger_JKM450M_7RL3_TV | ||
| Tiger_JKM460M_7RL3 | ||
| Tiger_JKM465N_7RL3 | ||
| Kaneka | U_EA110 | |
| U_EA120 | ||
| U_SA100 | ||
| U_SA110 | ||
| LONGi | LR4_60HPH_365M | |
| LR4_72HPH_440M | ||
| Mitsubishi_Electric | PV_MLE270HD | |
| PV_MLE275HD2 | ||
| PV_MLE280HD2 | ||
| PV_MLU250HC | ||
| PV_MLU255HC | ||
| Philadelphia_Solar | PS_M60_305 | |
| PS_M60_310 | ||
| PS_M60_315 | ||
| PS_M60_320 | ||
| PS_M60_325 | ||
| PS_M60_330 | ||
| PS_M72_370 | ||
| PS_M72_375 | ||
| PS_M72_380 | ||
| PS_M72_385 | ||
| PS_M72_390 | ||
| PS_M72_395 | ||
| PS_M72_400 | ||
| PS_M72_405 | ||
| PS_M72_HC_425 | ||
| PS_M72_HC_430 | ||
| PS_M72_HC_435 | ||
| PS_M72_HC_440 | ||
| PS_M72_HC_445 | ||
| PS_M72_HC_450 | ||
| PS_P60_275 | ||
| PS_P60_280 | ||
| PS_P60_285 | ||
| PS_P60_290 | ||
| PS_P72_330 | ||
| PS_P72_335 | ||
| PS_P72_340 | ||
| PS_P72_345 | ||
| REC | REC355TP4_Black | |
| REC360AA | ||
| REC360TP4_Black | ||
| REC365A | ||
| REC365TP4_Black | ||
| REC370A | ||
| REC370TP4_Black | ||
| REC375A | ||
| REC375TP4 | ||
| REC380A | ||
| REC385AA_Pure | ||
| REC390AA_Pure | ||
| REC395AA_Pure | ||
| REC400AA_Pure | ||
| REC405AA_Pure | ||
| REC430AA_72 | ||
| REC435AA_72 | ||
| REC440AA_72 | ||
| REC445AA_72 | ||
| REC450AA_72 | ||
| Tata_Power_Solar | TP300 | |
| TP305 | ||
| TP310 | ||
| TP315 | ||
| TP320 | ||
| TP325 | ||
| TP330 | ||
| Telesun | TP6L60M_H_360 | |
| TP6L60M_H_365 | ||
| TP6L60M_H_370 | ||
| TP6L60M_H_375 | ||
| TP6L60M_H_380 | ||
| TP6L72M_H_435 | ||
| TP6L72M_H_440 | ||
| TP6L72M_H_445 | ||
| TP6L72M_H_450 | ||
| TP6L72M_H_455 | ||
| TP7F72M_H_530 | ||
| TP7F72M_H_535 | ||
| TP7F72M_H_540 | ||
| TP7F72M_H_545 | ||
| TP7F72M_H_550 | ||
| TP7F78M_H_570 | ||
| TP7F78M_H_575 | ||
| TP7F78M_H_580 | ||
| TP7F78M_H_585 | ||
| TP7F78M_H_590 | ||
| TrinaSolar | Allmax_TSM_DD05A_60C_280W | |
| Allmax_TSM_DD05A_60C_315W | ||
| Allmax_TSM_DD06H_120C_320W | ||
| Allmax_TSM_DD06H_120C_335W | ||
| Duomax_TSM_DEG14_72C_340W | ||
| Duomax_TSM_DEG14_72C_355W | ||
| Duomax_TSM_DEG14_72C_375W | ||
| Duomax_TSM_DEG15H_144C_380W | ||
| Duomax_TSM_DEG15H_144C_410W | ||
| Duomax_TSM_DEG5_60C_280W | ||
| Duomax_TSM_DEG5_60C_315W | ||
| Residential_TSM_DD06H_120C_310 | ||
| Residential_TSM_DD06H_120C_335 | ||
| Tallmax_TSM_DE14H_144C_345W | ||
| Tallmax_TSM_DE14H_144C_395W | ||
| risensolar | RSM120_6_275PH_295P | |
| RSM144_6_335P_355P | ||
| RSM72_6_325P_345P | ||
| RSM_72_6_370P | ||
| RSM_72_6_385P | ||
| Stepper Motor | Minebea | 08PM-K139BSTDCN |
| 17PM-KA053B | ||
| 17PM-KA39B | ||
| 23KY-K748B | ||
| 29SM-K149B | ||
| 29SM-K379B | ||
| Precision_Motors | B-48-42-B17 | |
| B-48-42-B18 | ||
| Sonceboz | 6405 | |
| SPICE-Imported MOSFET | Infineon OptiMOS6 40V | IAUC120N04S6N009 |
| IAUC120N04S6N010 | ||
| IAUC120N04S6N013 | ||
| IAUC100N04S6N015 | ||
| IAUC100N04S6N022 | ||
| IAUC100N04S6N028 | ||
| IAUC80N04S6N036 | ||
| IAUC60N04S6N036 | ||
| IAUC120N04S6L008 | ||
| IAUC120N04S6L009 | ||
| IAUC120N04S6L012 | ||
| IAUC100N04S6L014 | ||
| IAUC100N04S6L020 | ||
| IAUC100N04S6L025 | ||
| IAUC80N04S6L032 | ||
| IAUC60N04S6L039 | ||
| Infineon OptiMOS5 80V | IPB015N08N5 | |
| IPB017N08N5 | ||
| IPP020N08N5 | ||
| IPT012N08N5 | ||
| IPB020N08N5 | ||
| IPP023N08N5 | ||
| IPB024N08N5 | ||
| IPP027N08N5 | ||
| IPB031N08N5 | ||
| IPP034N08N5 | ||
| IPB049N08N5 | ||
| IPP052N08N5 | ||
| IAUT300N08S5N012 | ||
| IAUT165N08S5N029 | ||
| IAUT300N08S5N014 | ||
| IAUT240N08S5N019 | ||
| IAUT200N08S5N023 | ||
| IAUS300N08S5N013T | ||
| IAUS300N08S5N015T | ||
| IAUC100N08S5N031 | ||
| IAUC100N08S5N043 | ||
| IAUC70N08S5N074 | ||
| Infineon OptiMOS4 60V | IPB180N06S4_H1 | |
| IPB120N06S4_H1 | ||
| IPI120N06S4_H1 | ||
| IPP120N06S4_H1 | ||
| IPB120N06S4_02 | ||
| IPI120N06S4_02 | ||
| IPP120N06S4_02 | ||
| IPB120N06S4_03 | ||
| IPI120N06S4_03 | ||
| IPP120N06S4_03 | ||
| IPB90N06S4_04 | ||
| IPD90N06S4_04 | ||
| IPD100N06S4_03 | ||
| IPI90N06S4_04 | ||
| IPP90N06S4_04 | ||
| IPB80N06S4_05 | ||
| IPD90N06S4_05 | ||
| IPI80N06S4_05 | ||
| IPP80N06S4_05 | ||
| IPB80N06S4_07 | ||
| IPD90N06S4_07 | ||
| IPI80N06S4_07 | ||
| IPP80N06S4_07 | ||
| IPB45N06S4_09 | ||
| IPD50N06S4_09 | ||
| IPI45N06S4_09 | ||
| IPP45N06S4_09 | ||
| IPG20N06S4_15 | ||
| IPB90N06S4L_04 | ||
| IPD90N06S4L_03 | ||
| IPI90N06S4L_04 | ||
| IPP90N06S4L_04 | ||
| IPB80N06S4L_05 | ||
| IPD90N06S4L_05 | ||
| IPI80N06S4L_05 | ||
| IPP80N06S4L_05 | ||
| IPB80N06S4L_07 | ||
| IPD90N06S4L_06 | ||
| IPI80N06S4L_07 | ||
| IPP80N06S4L_07 | ||
| IPB45N06S4L_08 | ||
| IPD50N06S4L_08 | ||
| IPI45N06S4L_08 | ||
| IPP45N06S4L_08 | ||
| IPD50N06S4L_12 | ||
| IPD30N06S4L_23 | ||
| IPD25N06S4L_30 | ||
| IPG20N06S4L_11 | ||
| IPG20N06S4L_14 | ||
| IPG20N06S4L_26 | ||
| Infineon OptiMOST 120V | IPB100N12S3_05 | |
| IPI100N12S3_05 | ||
| IPP100N12S3_05 | ||
| IPB70N12S3_11 | ||
| IPI70N12S3_11 | ||
| IPP70N12S3_11 | ||
| IPD70N12S3_11 | ||
| IPD70N12S3L_12 | ||
| IPB70N12S3L_12 | ||
| IPI70N12S3L_12 | ||
| IPP70N12S3L_12 | ||
| IPB50N12S3L_15 | ||
| IPD50N12S3L_15 | ||
| IPI50N12S3L_15 | ||
| IPP50N12S3L_15 | ||
| IPB35N12S3L_26 | ||
| IPD35N12S3L_24 | ||
| IPD30N12S3L_31 |
Additional Parameterizations
To learn about additional ways to parameterize and validate your model, see the following examples.
| Task | Learn More |
|---|---|
| Tune parameters against external data. | |
| Build an equivalent model of a SPICE netlist. | |
| Specify machine parameters using standard or fundamental parameterization methods. | Machine Parameterization |
| Test harness and validation. | Pre-Parameterized Stepper Motor Block Validation |
Request a Pre-Parameterization
To request a new component pre-parameterization, visit https://www.mathworks.com/products/simscape/model-request.html.
See Also
Battery
(Table-Based) | BLDC | PMSM | Solar Cell | SPICE-Imported
MOSFET | Stepper Motor | subcircuit2ssc